Scuba Diving in Negombo
Languages
English
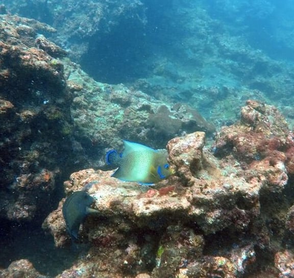
The waters of Sri Lanka are home to an incredible range of marine creatures from massive blue whales all the way through to tiny creatures. Sri Lanka has an abundance of great sites to discover including wreck dives, which are scattered off the coast where Local divers are still discovering new wrecks as they explore the waters of this island nation. Many of the wrecks are covered in marine life, soft corals, macro critters and large aggregations of schooling fish.
Inclusions and Exclusions
Use of SCUBA equipment
Lunch
No availability for the selected date.
Please select a different date to see available packages.
Supplier: ZRI Adventures

Exclusive Tour Offers for You
Get the best prices, special discounts and updates about similar tours delivered to your inbox.
Sorry, the email address you entered is invalid. Please enter a valid email address.